조황관리HOME / 조황관리 / 상세정보

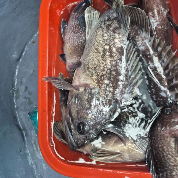
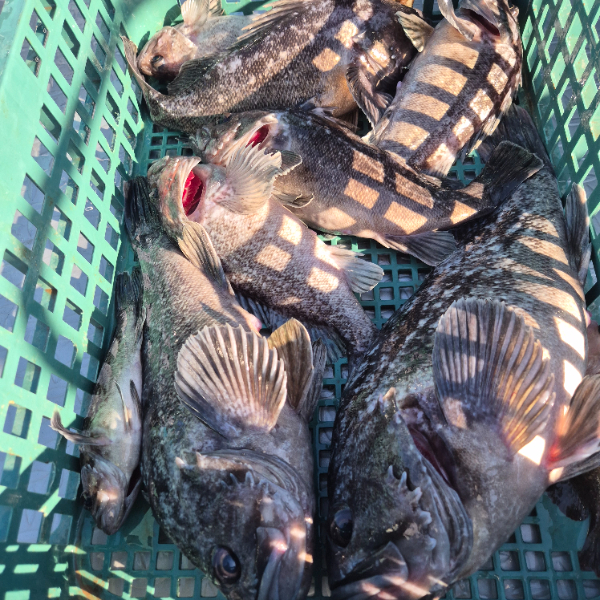
제목 : 12월27일 신진도어해루호 10분우럭출조 조황
등록일 : 2025-12-27
출조 도중에 낚시포기하고 입항하고푼 날씨옜씁니다
줄조에감사 합니다
1000019914.jpg


1000019993.jpg


1000019997.jpg


1000019995.jpg


1000019994.jpg


1000019992.jpg


1000020000.jpg


1000019999.jpg


1000019998.jpg


1000019991.jpg


1000019990.jpg


1000019996.jpg



=== 신진도 어해루호 태안낚시백화점 예약안내 ===


예약문의 : 010-9172-0140

오시는길 : 충남 태안군 근흥면 신진도리 522-14
홈페이지 : http://taeanfishing.sunsang24.com/



모바일.jpg 


 
































2023년 3월14일 부터 상시 우럭다운샷/생미끼낚시로 출조를 진행하여 인원 모집중입니다.



상시인원모집중

.

.

.

.

.


홈페이지예약  http://taeanfishing.sunsang24.com/


출조문의- 선장님-010.9172.0140 , 010.3040.2781

  태안낚시백화점-041.675.7707

.

.


출조점주소- 충남 태안군 근흥면 신진부두길126

                   (구)충남 태안군 근흥면 신진도리 255-14

지도-https://map.naver.com/v5/entry/place/31997397?placePath=%2Fhome%3Fentry=plt&c=15.15,0,0,0,dh 

.

.


 태안 낚시백화점 바로맞은편에서 바로 승선가능하며

신진항 주차공간 여유있습니다.


Top